Skip to content
Ocean Infinity Logo
  • Who we are
  • Technology
  • What we do
  • News
  • Contact
  • Careers
Careers
Ocean Infinity 2024
Back to News

2018

11 November 2024

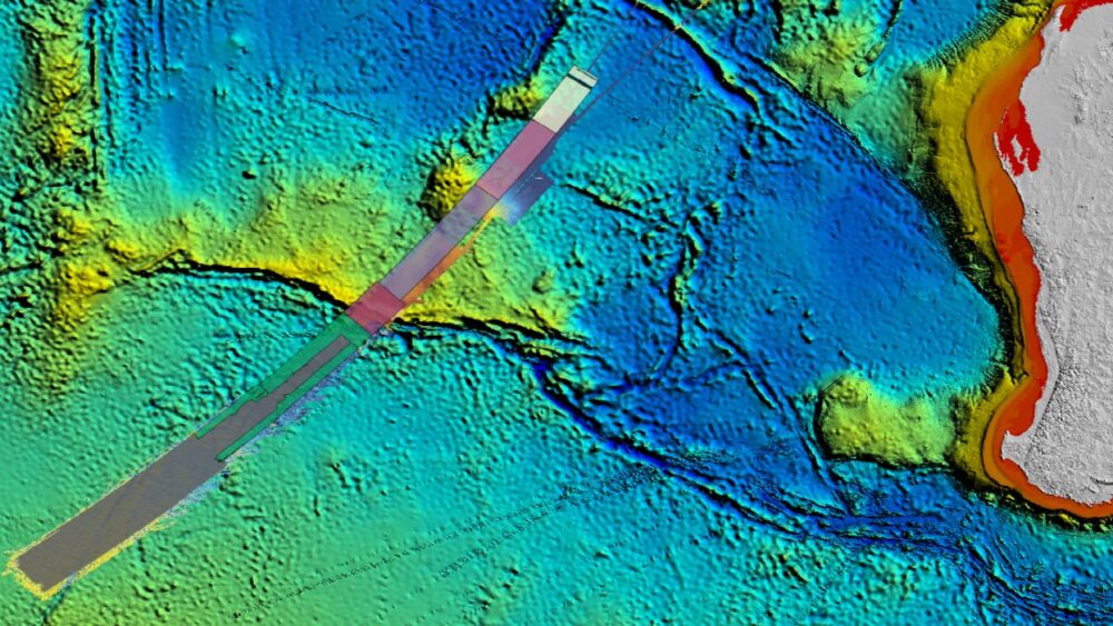
Located sunken Argentine Submarine the San Jaun.

Share this article
  • Linkedin
  • Facebook
  • X(Twitter)
  • Copy Link
Ocean Infinity Logo

TRANSFORMING OPERATIONS

Get in touch

ABOUT

  • Who we are
  • Careers
  • News

SERVICES

  • What We Do

CONTACT

  • Contact us
  • Anti-Modern Slavery Statement
  • External Privacy Notice
  • TERMS AND CONDITIONS FOR EQUIPMENT RENTAL
  • TERMS AND CONDITIONS FOR THE SUPPLY OF GOODS AND SERVICES
Website by The MTM Agency